Skip to main content

Intersection Update: US209 and Shafer’s Schoolhouse Road

Submitted by john.galt on
US209

(via Rosemary Brown)

Many of you travel US209 regularly and are also aware of the safety concerns along this corridor. Our community has mourned several tragedies along this stretch of roadway, and it is clear we need some upgrades to increase safety. A contract has been awarded on this project, and I would like to clarify some of the concerns that have been raised in my office.

DESIGN:

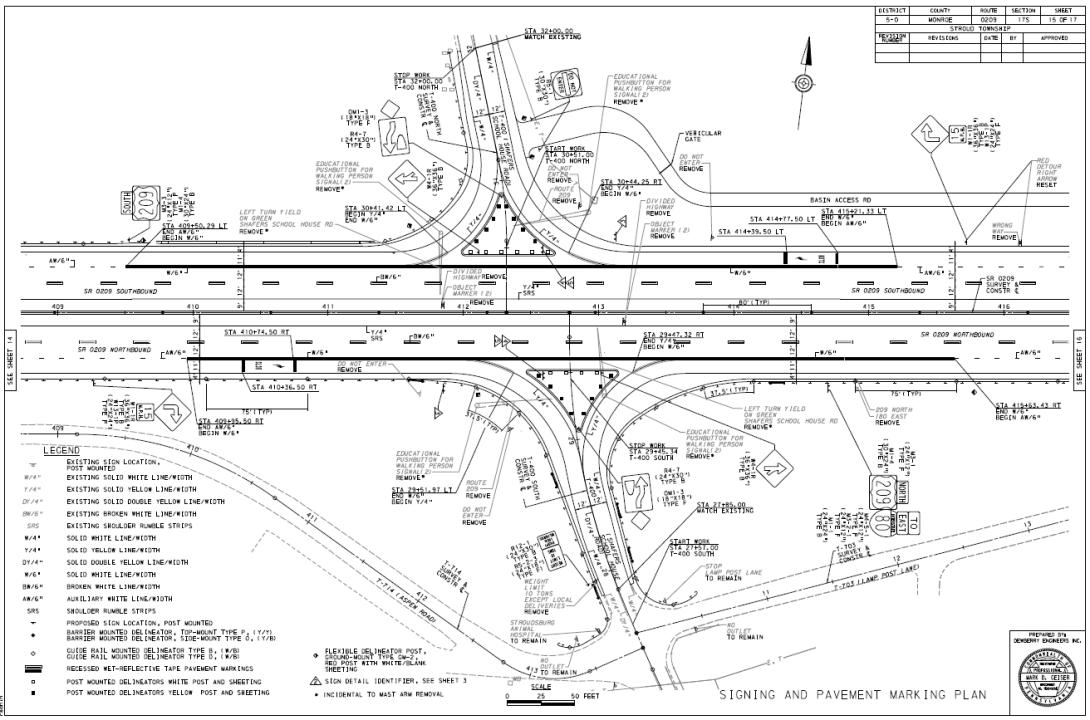
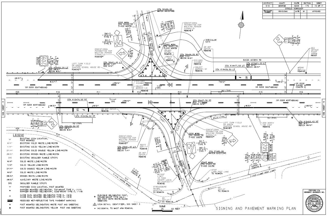
Work on this project includes roadway widening, roadway rehabilitation, pavement removal, median barrier installation, traffic signal removal, drainage upgrades, stormwater management, and more. Ultimately, when this project is complete there will be no access to or from US209 at Beaver Valley Road.

However, there will be a right-in and right-out access at US209 from Shafer’s Schoolhouse Road. There will be acceleration lanes for Shafer’s Schoolhouse Road to gain speed to safely merge onto US209, and deceleration lanes for US209 traffic to reduce speed prior to turns onto Shafer’s Schoolhouse Road.

The concrete median on US209 will be extended through the current intersection. The design has two sections, approximately 50 feet wide, where the median will be open for emergency service vehicles to cross.

TIMELINES:

PennDOT awarded the contract for this project in September of 2023. Currently, you can expect sporadic lane restrictions (9 AM – 3 PM) for surveying and preparatory work. There is no construction activity at this time, but a tentative start date is mid-March. In the beginning, most of the work will be utility relocations, building drainage swales, a contractor access road, basin construction, and some pipe / intel installation with daily lane restrictions.

We expect the intersection to be closed around mid-June. During this time, the traffic light will be removed and should work will begin. During construction, the Shafer’s Schoolhouse Road detour will utilize Hickory Lane, Hidden Valley Road, Manor Drive, Middle Easton Belmont Pike, and BUS 209 / Hamilton Road East.

Once the project is complete, the detour will be lifted and Shafer’s Schoolhouse Road access to US209 will be reopened with the right-in / right-out only configuration.